PLANY I MAPY
Rysunek nr 1
Rostworowskiego - Turonia
Pobierz PDF
Rysunek nr 2
Węzeł Zakopiańska
Pobierz PDF
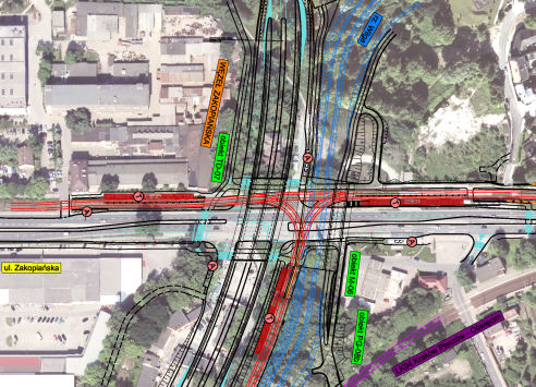
Rysunek nr 2a
Węzeł Zakopiańska
Pobierz PDF
Rysunek nr 3
Węzeł Turowicza
Pobierz PDF
PRZEBIEG TRASY PDF
Projekt współfinansowany ze środków Unii Europejskiej
O projekcie
Parametry
FAQ
Multimedia
Zgłaszanie nieprawidłowości